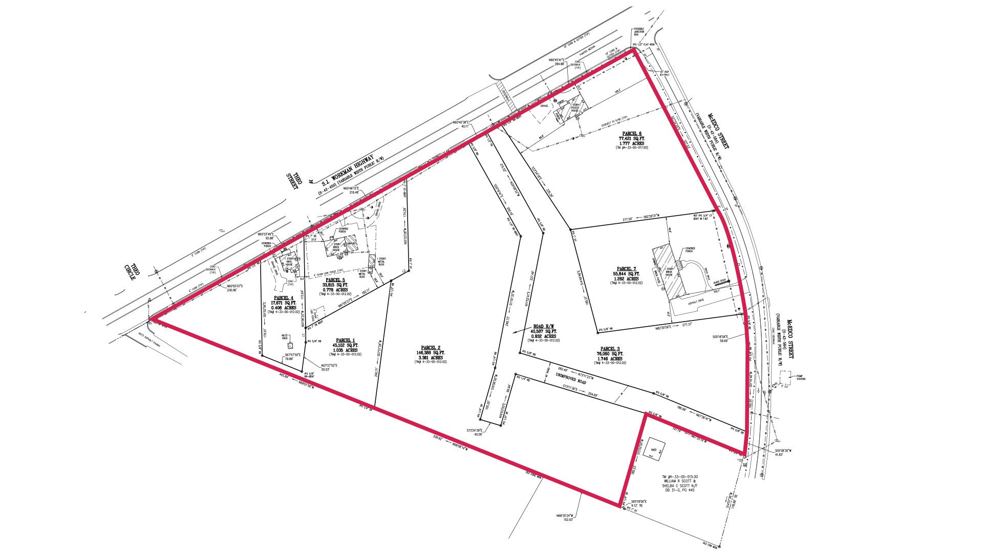
- ±11.315 AC proposed retail development – ideal for grocery, medical and retail users
- Strategically positioned along the Greenville–Spartanburg growth corridor, one of the fastest growing regions in South Carolina
- Strong residential pipeline with ±5,800 new and planned homes nearby, along with the new Woodruff High School (opening summer 2026) which will serve approximately 2,000 students
- Flexible site layout, allowing for grocery anchors, outparcel pad users, and medical office space
Proposed ±11.3 Acre Retail/Medical Development with Pad Sites and BTS Options Available






